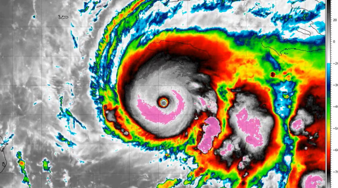
Pelo menos sete pessoas morreram em diferentes países do Caribe em decorrência da passagem do furacão Melissa, que atingiu nesta semana o nível máximo na escala Saffir-Simpson. Classificado como categoria 5, o fenômeno avança lentamente sobre a Jamaica com ventos que superam 250 km/h, elevando o risco de catástrofe humanitária nas próximas horas.
🌀 MUNDO | Vídeo gravado a bordo de avião caça-furacões da NOAA no olho do catastrófico furacão categoria 5 Melissa ao Sul da Jamaica. Olho é a região de calmaria, mas no entorno, na parede do olho, há vento sustentado em superfície de 265 km/h com rajadas de 300 km/h. 📷 NOAA pic.twitter.com/nESHO8tW9x
— MetSul.com (@metsul) October 27, 2025
O furacão Melissa se formou a partir de uma onda tropical vinda da África Ocidental e ganhou força rapidamente no Atlântico, transformando-se em uma das tempestades mais potentes da atual temporada. De acordo com o Centro Nacional de Furacões (NHC), dos Estados Unidos, o sistema apresenta ventos sustentados de cerca de 257 km/h e risco extremo de enchentes e deslizamentos.
As primeiras vítimas foram registradas em países como Haiti, República Dominicana e Jamaica. Em território haitiano, deslizamentos de terra e quedas de árvores causaram mortes e deixaram comunidades isoladas. Na República Dominicana, mais de 600 mil pessoas ficaram sem acesso à água potável após o colapso de sistemas de abastecimento. Já na Jamaica, autoridades confirmaram mortes ligadas a acidentes durante os preparativos para a chegada do furacão.
O governo jamaicano decretou estado de emergência e alertou para ondas de até quatro metros em áreas costeiras. “Estamos diante de uma tempestade sem precedentes em nossa história recente. A prioridade é salvar vidas”, afirmou o primeiro-ministro Andrew Holness em pronunciamento.
O furacão Melissa segue em direção ao noroeste do Caribe, com potencial de impacto também em Cuba e nas Bahamas. A lentidão do deslocamento agrava o cenário, já que o furacão pode permanecer por mais tempo sobre as ilhas, provocando volumes de chuva superiores a 70 centímetros em algumas regiões.


